<<
2026年5月
>>
金
土
日
月
火
水
木
金
土
日
月
火
水
木
金
土
日
月
火
水
木
金
土
日
月
火
水
木
金
土
日
1
2
3
4
5
6
7
8
9
10
11
12
13
14
15
16
17
18
19
20
21
22
23
24
25
26
27
28
29
30
31
<<
>>
2025年 11月 23日 (日)
釣り筏2
自操
TEAM益田
良型のマダイ、オオモンハタに
ハマチ、オオニベ、アオハタ、カサゴなど揚がっています
自操
TEAM森山
良型のマダイ、オオモンハタにアカハタなど揚がっています
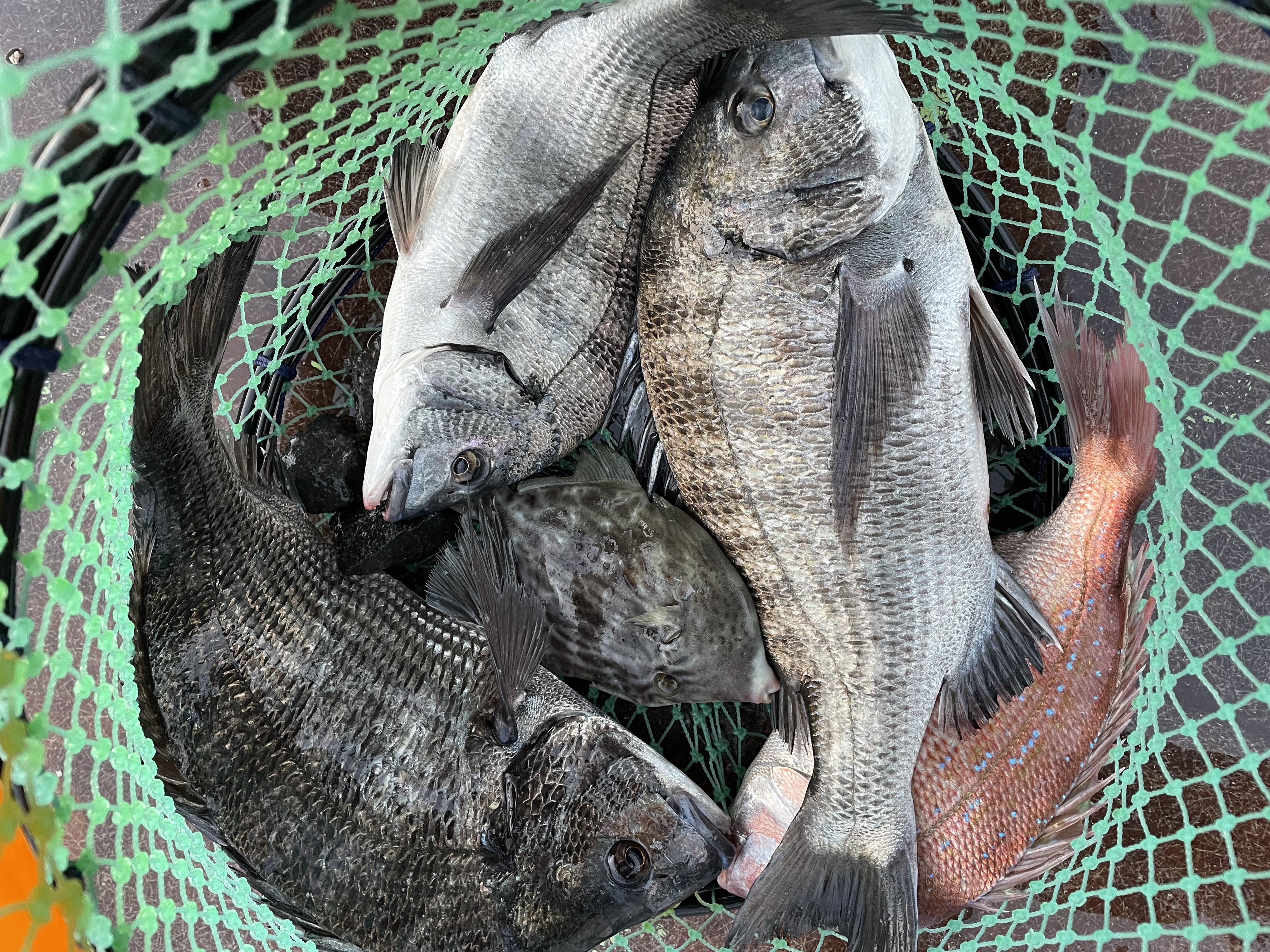
小蒲江カセ
阿南さん
チヌ、マダイ、カワハギなど揚がっています
湾内カセ
WCT 小丸さん
チヌ、マダイ、ヘダイなど揚がっています
<<
▲
>>
トップページへ
プロフィール
NAME
:
船長
HOME
:
山本真珠釣り筏
山本真珠ブログ
アーカイブ
>>
2023年09月
(24)
2023年08月
(36)
2023年07月
(40)
ログイン
カテゴリ
佐伯
(0)
蒲江
(4)
釣果
(5476)
雑記
(6180)
紹介
(459)
真珠
(1)
バイク
(9)
AND
OR
リンク
RingBlog v3.23